Se acerca la vendimia
El tiempo ha transcurrido rápido y a estas alturas la actividad en Bodega Mustiguillo es intensa. La gestión de la vegetación y del racimo resultan ahora cruciales, especialmente con la extrema climatología de la zona que hace que las viñas estén sometidas a un gran esfuerzo. Además, este año, las reservas de agua son escasas y hay baja humedad relativa en el ambiente con lo cual la cepa tiene que dar el máximo para llevar a buen puerto las bayas.
En la gestión de la vegetación se busca cuidar al máximo el desarrollo foliar de las cepas ya que la superficie foliar resulta ser un elemento clave para determinar el número de racimos en condiciones óptimas que la cepa podrá llevar a buen término.
El centro de atención recae en los racimos, pero lógicamente se sigue con mimo la evolución de la cepa para optimizar la eficiencia. Del sol que las hojas reciben dependen los azúcares y otros componentes esenciales de la uva y, además, la vegetación debe mantener a los racimos protegidos del sol y aireados.
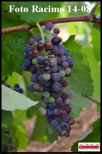
Con la gestión de los racimos se pretende que cada planta obtenga la cantidad de fruta que mejor se corresponde con sus carácterísticas individuales (especialmente vigor y edad) y con los parámetros de calidad óptima. Entre estos parámetos destacan la sanidad, el calibre de las bayas, la forma del racimo, la homogeneización en la madurezdel racimo y de la baya,... Es por ello que en estos momentos las variables de control de mayor importancia son la sanidad de la cepa, el desarrollo foliar y sanidad del racimo. Pronto, el número de racimos será también objeto de una especial vigilancia.
Otro elemento clave es la metereología, por ello las previsiones se siguen con detenimiento ya que las inclemencias del tiempo pueden afectar la calidad y la cantidad de la fruta.
Una de las apuestas cruciales es la vendimia en verde, es aquí donde el conocimiento del viñedo y la experiencia de las campañas previas es clave... es dificil decidir no sólo el número de racimos que se van a quitar sino también cuales. Con ello todavía se afina más en la planificación de la producción.
También en la bodega hay decisiones relevantes a tomar... Cómo recordareis en el proyecto Veremacom optamos por llevar a cabo la fermentación en barricas abiertas de segundo uso -no sin cierto debate- ahora toca elegir el tipo de barrica para la crianza, es decir las barricas que deberán estar disponibles para recibir el vino tras el descube.
Desde este momento y hasta la vendimia el ritmo de los procesos va a ir aumentado hasta un máximo en la vendimia. Las visitas a parcelas se hacen diariamente y la preparación para la vinificación comienza tras los embotelladosy las vacaciones de verano. Decisiones trascendentales se posponen hasta que se conozca la calidad y cantidad de fruta del proyecto. Se sigue con atención el devenir de la Naturaleza en el Pago El Terrerrazo.
-
Excelente artículo sobre la vendimia, en cuanto pasen las fiestas del pueblo hay que preparar las
herramientas para comenzar esta campaña 2012!!! Saludos -
Ole ahí tus dotes narrativos. Queda muy clara la situación de vuestro proyecto. Gracias. ¡Vamos makingonline!. Esto va a más,. Ánimo.
-
en respuesta a Gonzalo Estela Ver mensaje de Gonzalo Estela Gracias Gonzalo pero que conste en Acta que la 'materia prima' del artículo es tuya... Yo solo la he maquillado un poco... ;-)
-
Buen artículo sobre la proximidad de la vendimia, la cual está muy cercana, como tu bien dices, por las condiciones meteorológicas de calor extremo en el Pago El Terrerazo, máximas este mes de 40ºC.
Por este motivo el proceso de maduración se está desarrollando con mucha rapidez, esta semana empezaremos los controles de maduración en vuestras cepas de bobal, y podremos estimar una fecha de vendimia.
La cosecha se espera de gran calidad, vuestras cepas están aguantando bien estos calores y la falta de agua (son cepas viejas con buenas y profundas raíces), hay una adecuada superficie foliar y las hojas están trabajando bien. El nº de racimos no es abundante y aun así son de tamaño medio y grano pequeño.
Buen estado sanitario tanto de la planta como de los frutos, gracias a la ausencia de lluvias y la baja humedad relativa.
Estamos en puertas de una nueva y apasionante cosecha, que viviremos juntos.-
Parcela de bobal B-28
-
-
en respuesta a Bodega Mustiguillo Ver mensaje de Bodega Mustiguillo Sin adelantar mucho.... Parte de los osados participantes en el proyecto Verema.com preparan un desembarco en Mustiguillo.... preparaos!! ;-)
-
en respuesta a Paco Higón Ver mensaje de Paco Higón Esperando mañana al equipo de Veremacom en Pago El Terrerazo...verán sus racimos de bobal en plena maduración, en vivo y en directo. Nos vemos ;-)
-
en respuesta a Paco Higón Ver mensaje de Paco Higón Ahora me percato de este post de blog.
Parece que lo hubieras hecho después de en lugar de antes de!
Muy logrado, Paco.
Un abrazo
