Staging ::: VER CORREOS

SingularWINE

Se acerca la vendimia

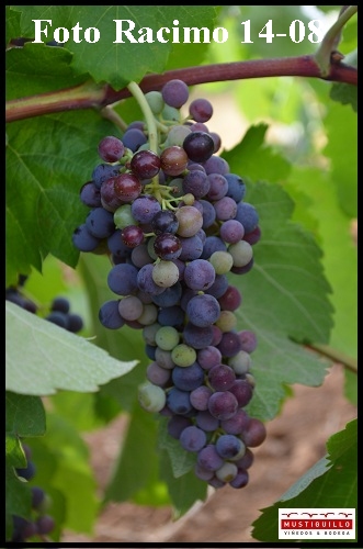
El tiempo ha transcurrido rápido y a estas alturas la actividad en Bodega Mustiguillo es intensa. La gestión de la vegetación y del racimo resultan ahora cruciales, especialmente con la extrema climatología de la zona que hace que las viñas estén sometidas a un gran esfuerzo. Además, este año, las reservas de agua son escasas y hay baja humedad relativa en el ambiente.

Se acerca la vendimia

El Camino del Vino

Toni Sarrión nos explica para nuestra parcela algunas de las prácticas culturales llevadas a cabo. A lo largo de todo el proceso de desarrollo de la viña durante el año, encontramos materiales similares para entender el porqué de muchas prácticas esenciales para obtener el resultado buscado: uva de calidad.

El Camino del Vino

La importancia de llamarse Ernesto. Poner nombre a un vino.

No es lo fundamental, ni mucho menos, pero a la espera de que lleguen decisiones relevantes... se me ha ocurrido un nombre para nuestro vino, nuestro Singular Wine de Mustiguillo. Lo sometemos a debate de quien quiera debatir, y por supuesto se admiten y agradecen sugerencias. E incluso críticas

La importancia de llamarse Ernesto. Poner nombre a un vino.

Singular Wine: La Aventura Comienza

  Singular Wine: La Aventura Comienza   Como supongo que muchos de los veremeros sabréis Singular Wines ha becado a dos foreros de Verema que forman equipo conmigo en la maravillosa aventura de diseñar un vino. Se trata de Aurelio Gómez-Miranda, G-M. en Verema y Jesús Troya, terili en Verema. El proyecto, al que hemos llamado, Veremacom, ha comenzado

Singular Wine: La Aventura Comienza

Cookies en verema.com

Utilizamos cookies propias y de terceros con finalidades analíticas y para mostrarte publicidad relacionada con tus preferencias a partir de tus hábitos de navegación y tu perfil. Puedes configurar o rechazar las cookies haciendo click en “Personalizar”. También puedes aceptar todas las cookies pulsando el botón “Aceptar”. Para más información puedes visitar nuestra Ver política de cookies.

Personalizar
Rechazar todas
Aceptar